-
Fotogrammetrie
Ve spolupráci s fakultou stavební ČVUT v Praze jsme se podíleli na tvorbě reálného 3D modelu v Zakho ( Irák ). Most byl vyhodnocen pomocí průsekove fotogrammetrie. Součástí projektu byl krom 3D modelu také drárový model…
detail
-
Inženýrská a stavební geodézie
Ukázka zaměření skutečného stavu budovy v Praze 2 - Vinohrady
detail
-
Katastr nemovitostí
Ukázka geometrického plánu na rozdělení pozemku v k.ú. Břežany u Lešan. Součástí projektu byl návrh parcelace a vytyčení nově navržených parcel.
detail
-
Inženýrská a stavební geodézie
Naše kancelář ve spolupráci s firmou GPK s.r.o. zajištovala komplexní geodetické služby při výstavbě nového železničního koridoru "Nové spojeni".
detail
-
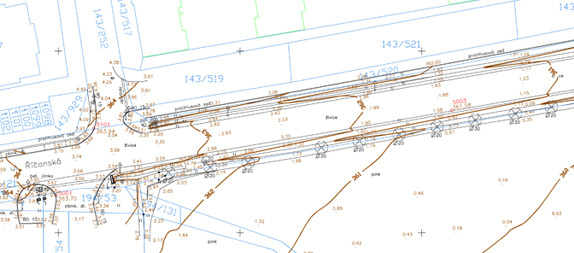
Mapy a mapové podklady
Ukázka polohopisného a výškopisného zaměření lokality v k.ú. Radotín.
Součástí projektu je zákres inženýrských sítí a 3D model terénu.
detail
-
Fotogrammetrie
Ukázka zaměření fasády základní školy v ul. Josefská.
Fasády byly zaměřeny za pomoci fotogrammetrie a klasických geodetických metod.
detail
-
Katastr nemovitostí
Ukázka geometrického plánu na rozdělení pozemku z důvodu rekonstrukce a rozšíření komunikace v k.ú. Libenice.
detail
-
Mapy a mapové podklady
Ukázka polohopisného a výškopisného zaměření lokality v k.ú. Kbely. Jedná se o cca 1km silnice a 5ha přilehlého pole. Součástí projektu je zákres inženýrských sítí a 3D model terénu.
detail
-
Inženýrská a stavební geodézie
Ukázka vytyčení rodinného domu v k.ú. Horoměřice. Vytyčené body byly v terénu odsazeny na "lavičky" a předány 4 výškové body
detail
-
Katastr nemovitostí
Ukázka geometrického plánu na rozdělení pozemku v k.ú. Čeperka. Součástí geometrického plánu bylo vytyčení jednotlivých parcel a cekového obvodu.
detail
-
Katastr nemovitostí
Ukázka vyhotovení geometrického plánu na průběh věcného břemene v k.ú. Břežany u Lešan
detail
-
Mapy a mapové podklady
Ukázka polohopisného a výškopisného zaměření lokality v k.ú. Jesenice pro Prahu.
Součástí projektu je zákres KN a 3D model terénu.
detail
-
Fotogrammetrie
Cílem této práce bylo vytvořit reálný 3D model Staroměstské mostecké věže u Karlova mostu. Přesnost výsledného modelu je cca 5cm a je vytvořen za pomoci průsekové fotogrammetrie a klasických geodetických metod.
detail

Geodetická kancelář Ing. Jan Straka
Poskytuje již řadu let komplexní řešení v oblasti geodezie a kartografie. Bohaté zkušenosti s projekty všech rozsahů, profesionalita a osobní přístup zajišťují kanceláři pozici partnera pro mnoho českých projekčních firem a architektonických atelierů.
Obsah naší činnosti není omezen na pouhé zpracování geodetických podkladů. Svým klientům nabízíme komplexní řešení, vždy šitá na míru. Právě proto s námi trvale spolupracují. Geodetická kancelář Ing. Jan Straka si zakládá na preciznosti zpracování dat, neboť i na kvalitě naší práce závisí celkový úspěch projektu našich partnerů.
Geodetická kancelář zajišťuje mapové podklady pro projekt, pasporty budov a stavební zaměření objektů, ale naše činnost zahrnuje i práce od katastru nemovitostí až po fotogrammetrické služby. Bližší představu o rozsahu naší čínnosti získáte v sekci služby.
Sídlíme v Praze, ale naše působnost je celorepubliková. Neváhejte nás kontaktovat. Rádi se s Vámi osobně setkáme a navrhneme řešení, které nejlépe vyhoví vašim požadavkům.